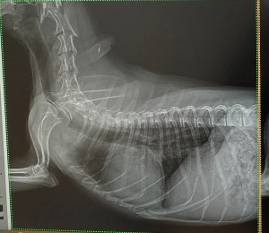
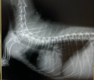
この度レントゲン機器を入れ替え、より鮮明な画像が描出できるようになりました。下の写真は同じワンちゃんのレントゲン写真です。旧機器で撮影したものが1枚目、新機器で撮影したものが2枚目です。
心臓、気管支、胸部の血管、骨の陰影、すべてにおいてより鮮明な画像になっていることが分かります。画質が向上することで診断精度は当然向上します。撮影にかかる時間も大幅に短縮(旧機器で1枚撮影するのに数分かかっていましたが、新機器は数秒)し、動物の負担も格段に減らすことができるようになりました。
撮影に伴うご費用は据え置きとなっておりますのでご安心ください。
大きな病院ではありませんので多くの機械を最新のものにするのは難しいですが、当院を選んで来院してくださる皆様に、より良い医療をお届けできるように日々アップデートしてまいります。










